ZIMOWĄ PORĄ (45)
Oko cyklonu to nie tylko meteorologia - częściej dotyczy awantur politycznych, rodzinnych, towarzyskich. To symbol najpoważniejszych kłopotów. Ale spoko - dziś jeszcze nie naurągamy bezwstydnym wyłudzaczom "podatku podwodnego". Na to przyjdzie czas.
Tymczasm Andrzej Colonel Remiszewski tylko o okrutnej, niszczącej pogodzie.
A tak na marginesie - i bez cyklonu wiatr i fale przyniosły ostatnio zniszczenia w Sopocie, Pucku i Brzeźnie.
Ale u mnie na szczęscie nie spadła ani jedna dachówka.
Zyjcie wiecznie !
Don Jorge
.
--------------------------------------------------
.
.
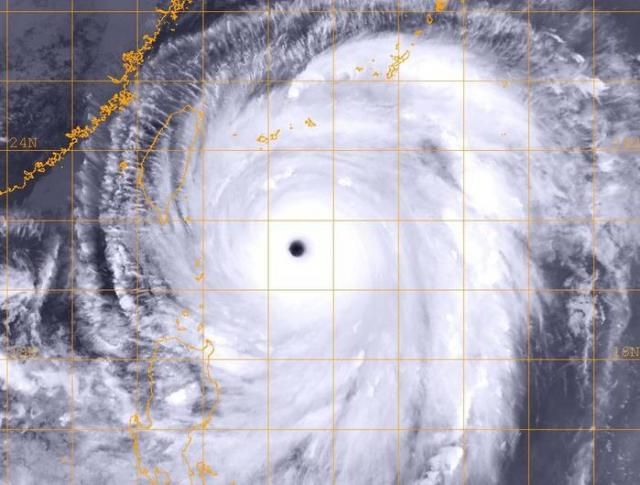
Oko cyklonu. Słowa, bez których nie mogła obyć się żadna porządna powieść przygodowa czy marynistyczna. Oko cyklonu - centrum tropikalnego niżu, wokół którego ruchem wirowym wieje huraganowy wiatr, powodujący,
Oko cyklonu. Słowa, bez których nie mogła obyć się żadna porządna powieść przygodowa czy marynistyczna. Oko cyklonu - centrum tropikalnego niżu, wokół którego ruchem wirowym wieje huraganowy wiatr, powodujący,
że w samym centrum, mimo iż wiatr jest niewielki, napływające zewsząd fale są wyjątkowo wysokie i skotłowane.
/
Fot. z Internetu
/

Fot. z Internetu
.
Oko cyklonu, opowieść przeszłości a zarazem coś, czego dzisiejsze bardzo szybkie jachty, wspierane przez meteorologiczny routing, rzadko na szczęście mają okazję doświadczyć. Dziś nagle przypomniało mi się to pojęcie podczas niedzielnospacerowej obserwacji burzowych, także śnieżnych, szkwałów na Zatoce. Pogoda zmieniała się błyskawicznie, temperatura skakała pomiędzy zerem, a plus pięć, wiatr na ogół dość mocny, w szkwałach osiągał nagle siłę „przyzwoitej ósemki”, jaskrawe słońce przeplatało się z kompletnymi ciemnościami.
I nasunęło mi to na myśl wspomnienie z zupełnie innego morza, innej pory roku, innej epoki, za to opisane w książce, do której lubię czasem zaglądać (zgadywać co to mogą tylko Czytelnicy młodsi niż 40-latkowie!):
„(...) Przede wszystkim uderza wygląd nieba: bezchmurne, usiane gwiazdami, smoliście czarne, tylko gęsto nakrapiane, jak posypane piaskiem, tymi migotliwymi punkcikami. I wokół pełno czarnych cieni, które latają mi przed oczyma. - Ptaki!
Zupełna flauta, żagle zwisają bezwładnie i tylko od szarpania się kadłuba trzepią głucho. Targają liny, bom. Wybieram jeszcze mocniej szot grota, obciągam na kabestanie, wybieram również mały żagielek na dziobie. (…) i zapałam papierosa - płomień zapałki pali się równo, nawet nie drgnie, powietrze jest zupełnie spokojne. Powietrze? Czy to jest w ogóle powietrze! Wydaje mi się, że otacza mnie próżnia, brak wiatru utrudnia oddychanie.
Mogę się rozejrzeć: wokół mnie nie widać fal, tylko jakieś gejzery wody, piramidy, łamiące się i strzelające znowu w górę fontannami; ze wszystkich stron wpadają z sykiem na pokład. Morze wydaje się ogromnym kotłem, w którym wrze słona woda.
Nade mną gwiazdy. Mnóstwo! Błyszczą jasno, jedna przy drugiej, jedna przy drugiej - czy doprawdy jest ich tak dużo? Na ich tle, jak duchy ciemności - ptaki. Latają oszalałe, chrapliwie skrzecząc, a im bardziej wpatruję się w przestrzeń... tym więcej ich widzę. (…)
Z jachtem dzieją się dziwne rzeczy. Mam wrażenie, że kręci się w koło, skacze jak piłka, raz po raz nurza dziób lub potem znowu kładzie się na burcie, nieruchomieje na moment, aby brutalnym zrywem wyprostować się i znowu kiwać. Czy to w ogóle można nazwać kiwaniem? Te zwariowane skoki, susy, przysiady? To raczej taniec świętego Wita! (…)
Od zachodu słychać szum. Narasta, potężnieje, spoglądam w tamtą stronę i początkowo nic nie widzę, a potem zaczyna mi majaczyć jakaś jasna smuga na niebie. Wpatruję się więc w ciemność - czy to przerwa w chmurach? Nagle uprzytamniam sobie: ależ to nie na niebie, lecz na morzu! Gorączkowo zdejmuję gumy z rumpla i kurczowo trzymam ster. Biała krecha jest coraz bliżej. Chcę koniecznie ustawić się dziobem do niej, więc „pompuję” sterem ile sił wykorzystując krótkie mgnienia, gdy jestem na względnie spokojniejszej połaci wody. - PRĘDZEJ!
I natychmiast znowu zimny spokój: - Nie! - Zresztą fala jest już przy mnie. Na ułamek sekundy, na mgnienie zawisa nad jachtem, a mnie się wydaje, że nieruchomieje i że tak już pozostanie na wieki. Widzę wyraźnie wodospad z kożucha gęstej piany, czuję, że jacht, płynący już do przodu, nagle wstrząsnął się jakby natknął się na twardą zaporę, a potem ugina się, dosłownie ugina, pod ciężarem masy wody. (…) A potem zaraz, czy może równocześnie, poderwało jacht do lotu. Mam wyraźne wrażenie tego lotu i początkowo wydaje mi się, że wyskoczyliśmy w powietrze, bo za tą falą jest próżnia, BO CAŁY OCEAN PRZETOCZYŁ SIĘ NAD NAMI! Lecz natychmiast rozumiem, że to tylko pęd wiatru daje takie złudzenie. (…) Jacht płynie, płynie, płynie... trzymany na uwięzi, w głębokim przechyle przez wiatr; czuję, że mam władzę nad nim, że jestem z nim i razem, po tym szaleńczym kołysaniu w ciszy, teraz tylko prężymy się i zgrabnie wspinamy na ciągle nadchodzące nowe góry - jesteśmy w swoim zwykłym żywiole i dobrze wiemy, jak sobie z nim radzić.(…)
/
Fot. z Internetu
Oko cyklonu, opowieść przeszłości a zarazem coś, czego dzisiejsze bardzo szybkie jachty, wspierane przez meteorologiczny routing, rzadko na szczęście mają okazję doświadczyć. Dziś nagle przypomniało mi się to pojęcie podczas niedzielnospacerowej obserwacji burzowych, także śnieżnych, szkwałów na Zatoce. Pogoda zmieniała się błyskawicznie, temperatura skakała pomiędzy zerem, a plus pięć, wiatr na ogół dość mocny, w szkwałach osiągał nagle siłę „przyzwoitej ósemki”, jaskrawe słońce przeplatało się z kompletnymi ciemnościami.
I nasunęło mi to na myśl wspomnienie z zupełnie innego morza, innej pory roku, innej epoki, za to opisane w książce, do której lubię czasem zaglądać (zgadywać co to mogą tylko Czytelnicy młodsi niż 40-latkowie!):
„(...) Przede wszystkim uderza wygląd nieba: bezchmurne, usiane gwiazdami, smoliście czarne, tylko gęsto nakrapiane, jak posypane piaskiem, tymi migotliwymi punkcikami. I wokół pełno czarnych cieni, które latają mi przed oczyma. - Ptaki!
Zupełna flauta, żagle zwisają bezwładnie i tylko od szarpania się kadłuba trzepią głucho. Targają liny, bom. Wybieram jeszcze mocniej szot grota, obciągam na kabestanie, wybieram również mały żagielek na dziobie. (…) i zapałam papierosa - płomień zapałki pali się równo, nawet nie drgnie, powietrze jest zupełnie spokojne. Powietrze? Czy to jest w ogóle powietrze! Wydaje mi się, że otacza mnie próżnia, brak wiatru utrudnia oddychanie.
Mogę się rozejrzeć: wokół mnie nie widać fal, tylko jakieś gejzery wody, piramidy, łamiące się i strzelające znowu w górę fontannami; ze wszystkich stron wpadają z sykiem na pokład. Morze wydaje się ogromnym kotłem, w którym wrze słona woda.
Nade mną gwiazdy. Mnóstwo! Błyszczą jasno, jedna przy drugiej, jedna przy drugiej - czy doprawdy jest ich tak dużo? Na ich tle, jak duchy ciemności - ptaki. Latają oszalałe, chrapliwie skrzecząc, a im bardziej wpatruję się w przestrzeń... tym więcej ich widzę. (…)
Z jachtem dzieją się dziwne rzeczy. Mam wrażenie, że kręci się w koło, skacze jak piłka, raz po raz nurza dziób lub potem znowu kładzie się na burcie, nieruchomieje na moment, aby brutalnym zrywem wyprostować się i znowu kiwać. Czy to w ogóle można nazwać kiwaniem? Te zwariowane skoki, susy, przysiady? To raczej taniec świętego Wita! (…)
Od zachodu słychać szum. Narasta, potężnieje, spoglądam w tamtą stronę i początkowo nic nie widzę, a potem zaczyna mi majaczyć jakaś jasna smuga na niebie. Wpatruję się więc w ciemność - czy to przerwa w chmurach? Nagle uprzytamniam sobie: ależ to nie na niebie, lecz na morzu! Gorączkowo zdejmuję gumy z rumpla i kurczowo trzymam ster. Biała krecha jest coraz bliżej. Chcę koniecznie ustawić się dziobem do niej, więc „pompuję” sterem ile sił wykorzystując krótkie mgnienia, gdy jestem na względnie spokojniejszej połaci wody. - PRĘDZEJ!
I natychmiast znowu zimny spokój: - Nie! - Zresztą fala jest już przy mnie. Na ułamek sekundy, na mgnienie zawisa nad jachtem, a mnie się wydaje, że nieruchomieje i że tak już pozostanie na wieki. Widzę wyraźnie wodospad z kożucha gęstej piany, czuję, że jacht, płynący już do przodu, nagle wstrząsnął się jakby natknął się na twardą zaporę, a potem ugina się, dosłownie ugina, pod ciężarem masy wody. (…) A potem zaraz, czy może równocześnie, poderwało jacht do lotu. Mam wyraźne wrażenie tego lotu i początkowo wydaje mi się, że wyskoczyliśmy w powietrze, bo za tą falą jest próżnia, BO CAŁY OCEAN PRZETOCZYŁ SIĘ NAD NAMI! Lecz natychmiast rozumiem, że to tylko pęd wiatru daje takie złudzenie. (…) Jacht płynie, płynie, płynie... trzymany na uwięzi, w głębokim przechyle przez wiatr; czuję, że mam władzę nad nim, że jestem z nim i razem, po tym szaleńczym kołysaniu w ciszy, teraz tylko prężymy się i zgrabnie wspinamy na ciągle nadchodzące nowe góry - jesteśmy w swoim zwykłym żywiole i dobrze wiemy, jak sobie z nim radzić.(…)
/

Fot. z Internetu
.
Czemuż to oko cyklonu tak mocno zaznaczyło się w literaturze. Trzeba pamiętać, że klasyka powstawała w czasach żaglowców, i to żaglowców zbudowanych z mniej wytrzymałych materiałów, niż współcześnie stosowane. Pamiętajmy też, że żaglowiec, dużo większy i cięższy od jachtów, wbrew pozorom gorzej znosił wielką i skotłowaną falę. Bezwładność ciężkich drzewc: steng i rej, narażała je na urwanie lub złamanie od samego kołysania, uderzenia fal mogły łatwo znieść pokładówki, pozrywać zamknięcia luków, zalać ładownie. Wielotonowe armaty urywały się z zamocowań, zapasy kul armatnich łamały ustalające je przegrody, nie tylko rujnując i tak niewielką stateczność ale zagrażając trwałości wiązań i poszycia kadłuba. I tak paradoksalnie, w rejonie najsłabszego wiatru powstawały największe uszkodzenia. A potem przychodził powrót huraganu i uderzenie fali…
/
Żaglowiec Garthsnaid w trakcie silnego sztormu w 1920 roku (fot. Alexander Harper)
Czemuż to oko cyklonu tak mocno zaznaczyło się w literaturze. Trzeba pamiętać, że klasyka powstawała w czasach żaglowców, i to żaglowców zbudowanych z mniej wytrzymałych materiałów, niż współcześnie stosowane. Pamiętajmy też, że żaglowiec, dużo większy i cięższy od jachtów, wbrew pozorom gorzej znosił wielką i skotłowaną falę. Bezwładność ciężkich drzewc: steng i rej, narażała je na urwanie lub złamanie od samego kołysania, uderzenia fal mogły łatwo znieść pokładówki, pozrywać zamknięcia luków, zalać ładownie. Wielotonowe armaty urywały się z zamocowań, zapasy kul armatnich łamały ustalające je przegrody, nie tylko rujnując i tak niewielką stateczność ale zagrażając trwałości wiązań i poszycia kadłuba. I tak paradoksalnie, w rejonie najsłabszego wiatru powstawały największe uszkodzenia. A potem przychodził powrót huraganu i uderzenie fali…
/

Żaglowiec Garthsnaid w trakcie silnego sztormu w 1920 roku (fot. Alexander Harper)
.
Żaglowce ginęły w cyklonach, często po prostu nie pozostawiając świadków tragedii. Stopniowo nauczono się omijać pory huraganów w różnych rejonach Ziemi oraz podejmowano próby ucieczki przed cyklonem, w razie zaobserwowania symptomów jego nadejścia. W XX wieku meteorologia poczyniła na tyle postępy, że opracowano dość skuteczny system ostrzegania, dziś łączność satelitarna daje poważne szanse uniknięcia ryzyka.
Ale groźny i zarazem romantyczny wydźwięk słów oku cyklonu pozostał nadal. Przynajmniej dla mojego pokolenia.
Szelki i kamizelki nie tylko w cyklonie!
27 listopada 2016 r.
Colonel
Żaglowce ginęły w cyklonach, często po prostu nie pozostawiając świadków tragedii. Stopniowo nauczono się omijać pory huraganów w różnych rejonach Ziemi oraz podejmowano próby ucieczki przed cyklonem, w razie zaobserwowania symptomów jego nadejścia. W XX wieku meteorologia poczyniła na tyle postępy, że opracowano dość skuteczny system ostrzegania, dziś łączność satelitarna daje poważne szanse uniknięcia ryzyka.
Ale groźny i zarazem romantyczny wydźwięk słów oku cyklonu pozostał nadal. Przynajmniej dla mojego pokolenia.
Szelki i kamizelki nie tylko w cyklonie!
27 listopada 2016 r.
Colonel
-------------------------
Tekst zawiera osobiste, prywatne i subiektywne obserwacje autora.
Tekst zawiera osobiste, prywatne i subiektywne obserwacje autora.
Komentarze
Brak komentarzy do artykułu